Phúc Long Riverside (Khu dân cư Đào Sư Tích, Phước Kiển, Nhà Bè)
- Loại hình: Đất nền
- Sản phẩm: Dự Án
- Diện tích: 80-200 m²
- Chủ quyền: Chủ quyền hồng
- Dự án: Phúc Long Riverside
- Thành phố: Hồ Chí Minh
- Quận / Huyện: Nhà Bè
- Phường / Xã: Phước Kiển
- Đường: Đào Sư Tích
- Năm hoàn thành: 2019
Tiện ích
- Công viên
- Khu vui chơi thiếu nhi
- Trường Đại học
- Trường Mầm non
- Trường Quốc tế
- Trường THCS
- Trường THPT
- Trường Tiểu học
Chi tiết
Phúc Long Riverside (Khu dân cư Đào Sư Tích) là dự án đất nền hiếm hoi ở xã Phước Kiển, Nhà Bè có sổ hồng riêng từng nền và được xây dựng tự do. Các nền có diện tích vừa phải từ 80m2 đến 200m2, phù hợp với các gia đình thích ở nhà phố hoặc đầu tư.

TỔNG QUAN

- Tên dự án: Phúc Long Riverside (Khu dân cư Đào Sư Tích)
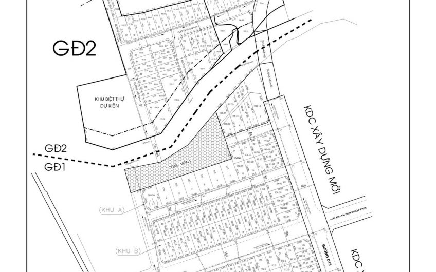
- Quy mô: 4,5 ha
- Số lượng lô đất nền: 202 nền
- Diện tích lô đất nền: 5x16m, 5x17m, 5x19m, 6x14m, 8x14m…
- Lộ giới đường: 7m, 8m, 16m
- Pháp lý: Đã có Sổ Hồng riêng từng nền
- Xây dựng: Xây dựng tự do
VỊ TRÍ

- Đường Đào Sư Tích, xã Phước Kiển, Nhà Bè
- Cách Chợ Bến Thành 8,3 km
- Hướng Tây: giáp Rạch Long Kiểng
- Hướng Đông: giáp Khu Tái định cư Lập Phúc
- Hướng Bắc: đường Đào Sư Tích
- Hướng Nam: giáp Khu dân cư xây dựng mới
TIỆN ÍCH
- Thương mại – Giải trí – Y tế: cách Vivo City, Khu đô thị Phú Mỹ Hưng 2 km, Lotte Mart (Q.7) 4 km.
- Giáo dục: Trường THCS Lê Thành Công , Đại học RMIT, Đại học Tôn Đức Thắng
- Nội khu: Công viên cây xanh. Khu vui chơi trẻ em ngoài trời.
MẶT BẰNG PHÂN LÔ

PHÁP LÝ
Đã có Sổ Hồng riêng từng nền

XÂY DỰNG
Xây dựng tự do
GÁI BÁN
Từ 42 tr/m2
ĐÁNH GIÁ
- Dự án Phúc Long Riverside (Khu dân cư Đào Sư Tích) là dự án đất nền phân lô hiếm hoi được xây dựng tự do
- Đã có Giấy Chủ Quyền từng nền
- Đất Thổ cư 100%
- Công viên cây xanh. Khu vui chơi trẻ em ngoài trời.
- Mặt tiền đường Đào Sư Tích
- Tiện ích xung quanh thừa hưởng từ Phú Mỹ Hưng, Lê Văn Lương & Nguyễn Hữu Thọ
- Gần các trường học THCS Lê Thành Công , Đại học RMIT, Đại học Tôn Đức Thắng
- Gần các khu mua sắm lớn: Vivo City, Cresent Mall, Lotte Mart
Mọi thông tin chi tiết và đăng ký tham quan xin vui lòng liên hệ:
- Địa chỉ: Đào Sư Tích, Phước Kiển, Nhà Bè, HCM
- Hướng dẫn đường đi tại đây: Phúc Long Riverside (Khu dân cư Đào Sư Tích)
- Hotline: 0901357226
- Email: phuclongland@gmail.com
Các dự án lân cận:
Bài viết cùng chuyên mục:
Video
- ID: 6331
- Views: 4866





